logo
logo
Og艂oszenia » Gospodarka nieruchomo艣ciami
Og艂oszenie o przetargu ustnym nieograniczonym na sprzeda偶 nieruchomo艣ci - lokalu niemieszkalnego (u偶ytkowego) stanowi膮cego w艂asno艣膰 Gminy Radziej贸w po艂o偶onego przy ul. Brzeskiej 11 w Radziejowie

Og艂oszenie o przetargu ustnym nieograniczonym na sprzeda偶 nieruchomo艣ci - lokalu niemieszkalnego (u偶ytkowego) stanowi膮cego w艂asno艣膰 Gminy Radziej贸w po艂o偶onego przy ul. Brzeskiej 11 w Radziejowie.

TypRozmiarPobierzKomentarzData dodaniaLicznik 
?39.6 KB POBIERZOg艂oszenie o przetargu ustnym nieograniczonym na sprzeda偶 lokalu u偶ytkowego2013-06-13 11:25:57539
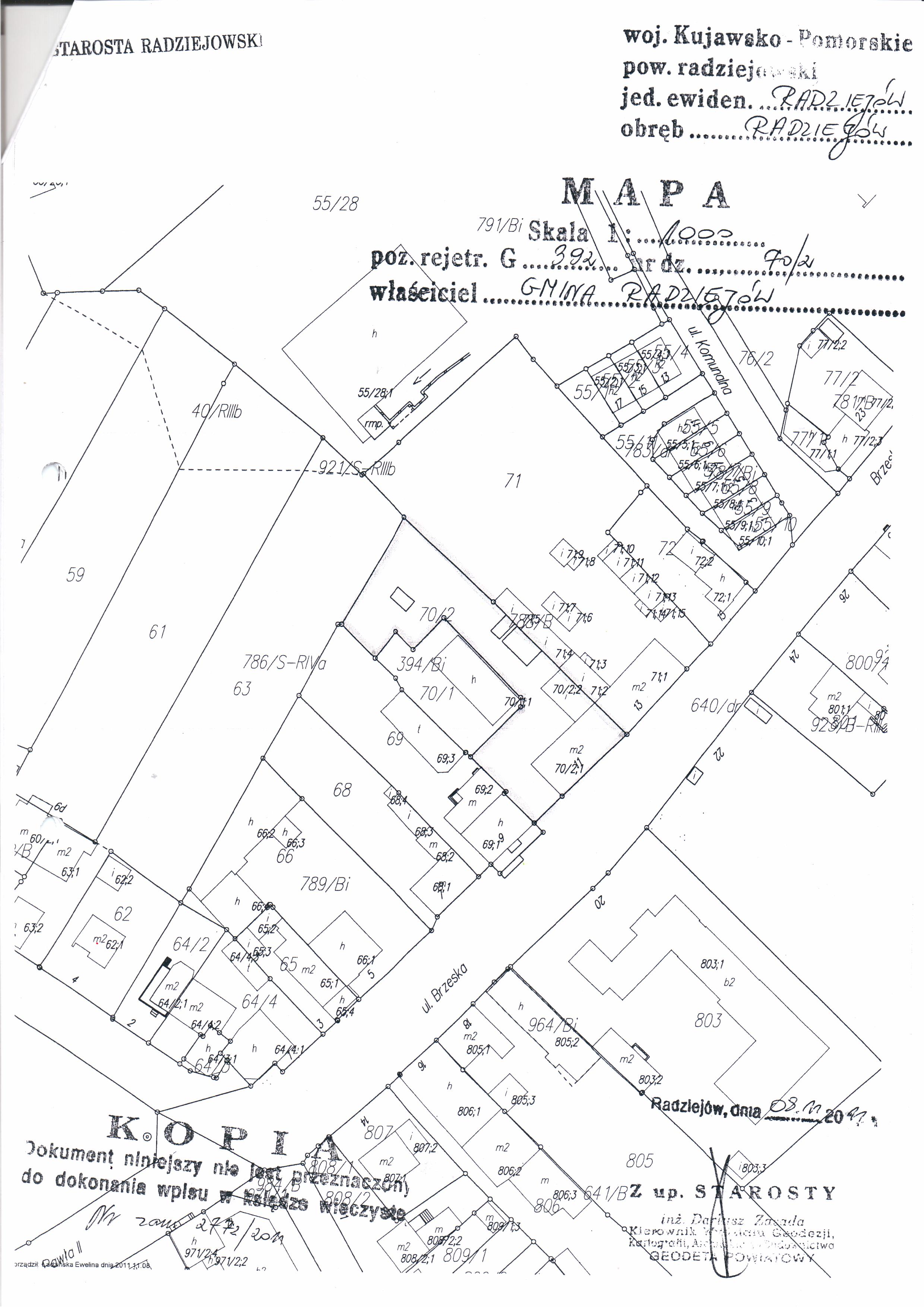
graf.807.8 KB POBIERZMapa ul. Brzeska 11, dz. 70-22013-06-13 11:26:36360

Autor : Rafa艂 Staszak - M艂odszy Referent
Zredagowa艂(a) : Rafa墓聜 Staszak
Data wprowadzenia : 2013-06-13 11:21:08
Data ostatniej modyfikacji : 2013-06-13 11:21:08
Liczba wy艣wietle艅 : 1525



licznik odwiedzin: 11904513