logo
logo
Og艂oszenia » Gospodarka nieruchomo艣ciami
Og艂oszenie o przetargu ustnym nieograniczonym na sprzeda偶 nieruchomo艣ci gruntowej zabudowanej stanowi膮cej w艂asno艣膰 Gminy Radziej贸w po艂o偶onej przy ul. Brzeskiej 11 w Radziejowie

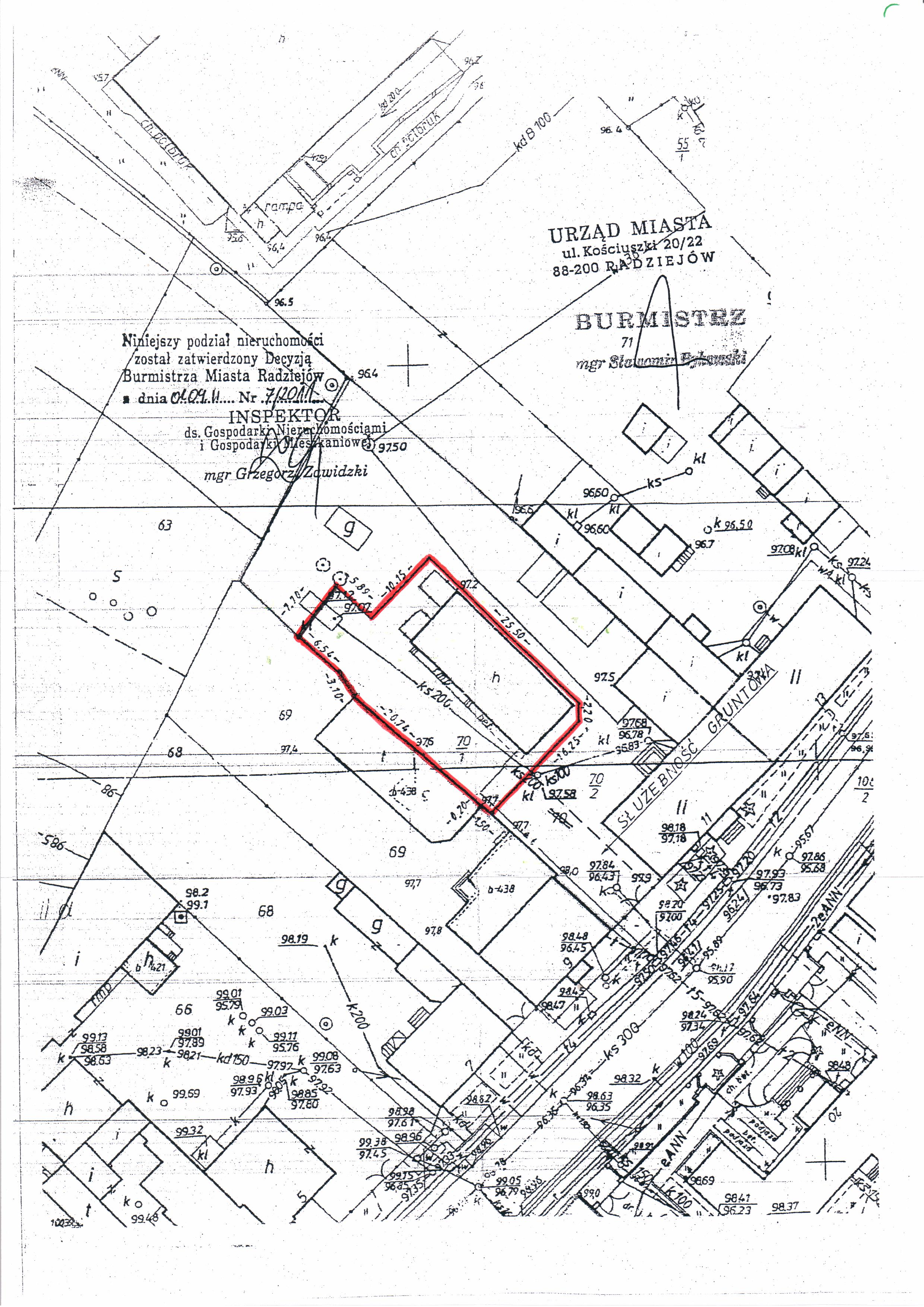
Og艂oszenie o przetargu ustnym nieograniczonym na sprzeda偶 nieruchomo艣ci gruntowej zabudowanej stanowi膮cej w艂asno艣膰 Gminy Radziej贸w po艂o偶onej przy ul. Brzeskiej 11 w Radziejowie oznaczonej w ewidencji grunt贸w jako dzia艂ka Nr 70/1, o pow. 0,0529 ha, ujawnionej w ksi臋dze wieczystej KW WL1R/00008324/4.

TypRozmiarPobierzKomentarzData dodaniaLicznik 
graf.674 KB POBIERZOg艂oszenie o przetargu - ul. Brzeska 11 (pawilon handlowy) cz. 12012-04-03 08:46:51475
graf.787.2 KB POBIERZOg艂oszenie o przetargu - ul. Brzeska 11 (pawilon handlowy) cz. 22012-04-03 08:47:04421
graf.1294.2 KB POBIERZZa艂膮cznik mapowy - ul. Brzeska 11 (pawilon handlowy)2012-04-03 08:47:32455

Autor : Rafa艂 Staszak - M艂odszy Referent
Zredagowa艂(a) : Rafa墓聜 Staszak
Data wprowadzenia : 2012-04-03 08:45:55
Data ostatniej modyfikacji : 2012-04-03 08:45:55
Liczba wy艣wietle艅 : 1696



licznik odwiedzin: 11904444